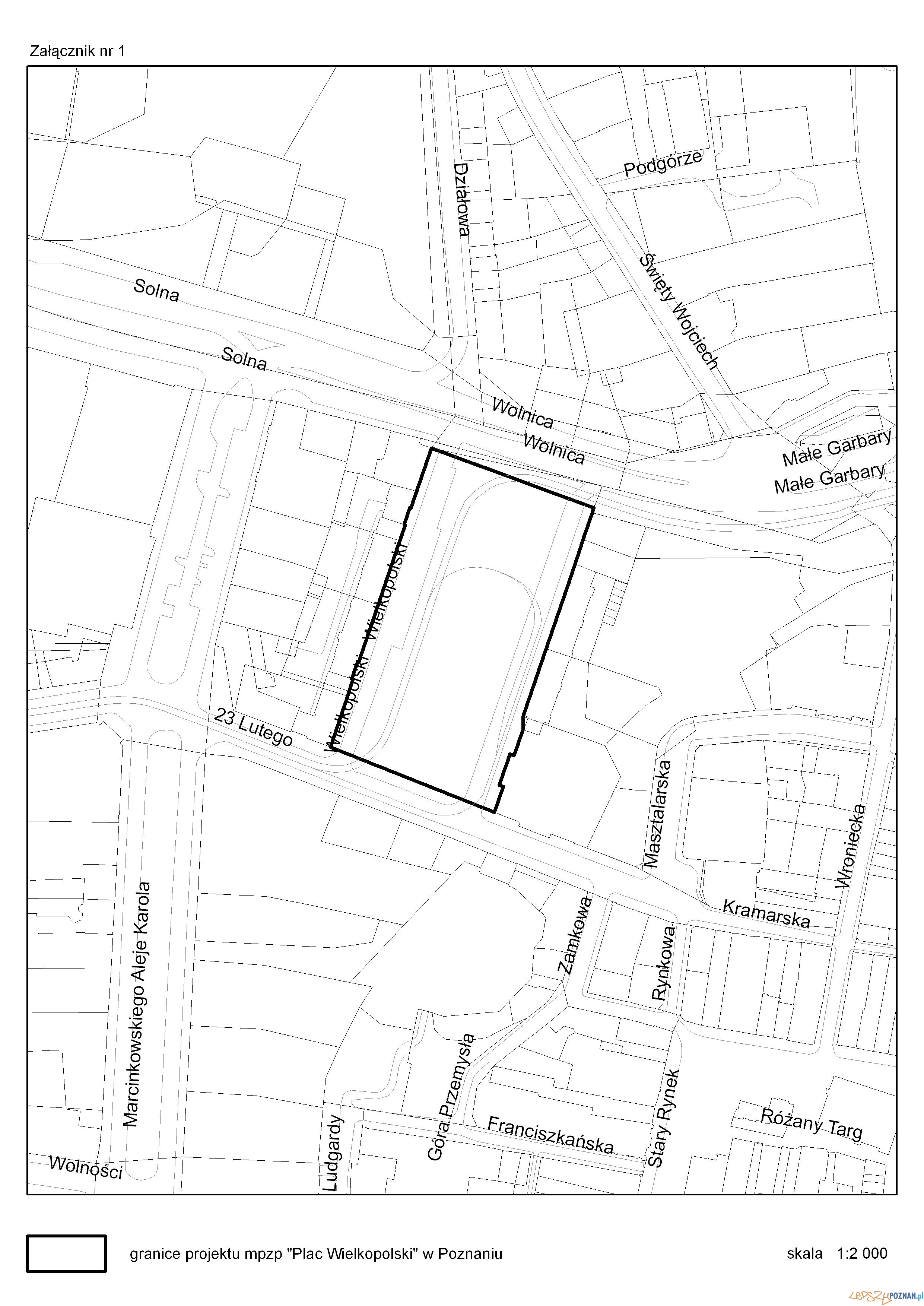
Zapraszamy mieszkańców okolic Placu Wielkopolskiego na I etap konsultacji społecznych dotyczących projektu miejscowego planu zagospodarowania przestrzennego...
Tag - spotkanie
Spotkanie przy Bułgarskiej niewątpliwe będzie jednym z ciekawszych dla kibiców Lecha. Z jednej strony zaprzyjaźniony klub, a z drugiej dołek w jakim jest Lech...
Dziś Kolejorz podejmie w Poznaniu Zagłębie Lubin. Mamy nadzieję, że spotkanie 9. kolejki Ekstraklasy będzie początkiem wędrówki Lecha na szczyt tabeli...
W najbliższą sobotę 16 października 2010 r. czyli w dniu meczu Lecha Poznań z Zagłębiem Lubin od godziny 15:30 zostaną zamknięte dla ruchu pojazdów ulice...
Kolejni mieszkańcy Poznania mają szansę współdecydować o tym jak będzie wyglądała ich okolica. Tym razem zachęcamy mieszkańców Naramowic do wzięcia udziału w I...
Kolejni mieszkańcy Poznania mają szansę współdecydować o tym jak będzie wyglądała ich okolica. Tym razem zachęcamy mieszkańców Naramowic do wzięcia udziału w I...
Ryszard Horowitz, polski fotografik, tworzący w Stanach Zjednoczonych, jeden z najznamienitszych fotografów, prekursor komputerowego przetwarzania fotografii...









