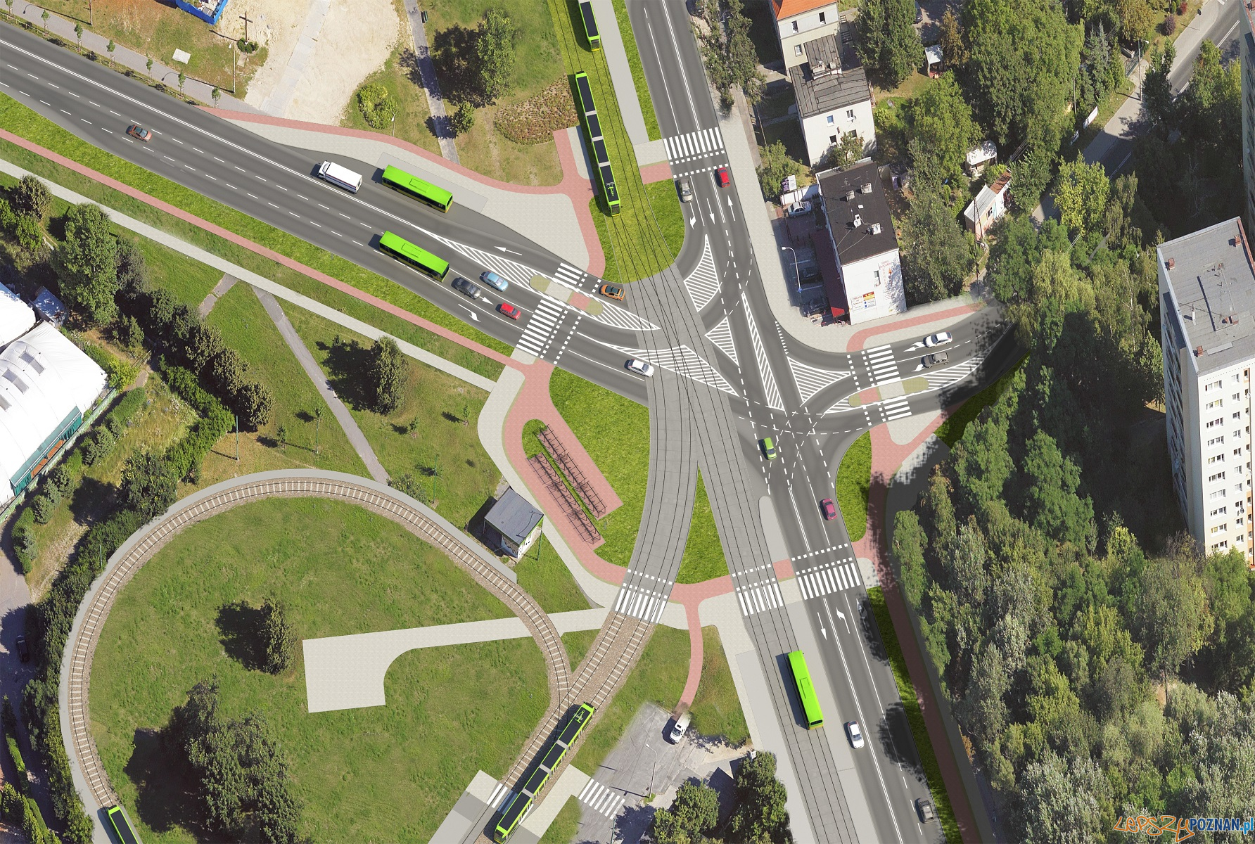
Mieszkańcy wypowiedzieli się w sprawie nowej trasy tramwajowej od pętli Wilczak do skrzyżowania ulic Garbary, Małe Garbary i Estkowskiego.
Konsultacje społeczne dotyczące koncepcji II etapu tramwaju na Naramowice rozpoczęły się 12 czerwca od spotkania z mieszkańcami. Od tego dnia aż do 3 lipca można było swoje uwagi i wnioski przekazywać do ZTM pisemnie – pocztą elektroniczną, bądź tradycyjną.
Podczas spotkania wypełnionych zostało 59 ankiet. 35 głosów przekazano drogą elektroniczną, a dwa wnioski przesłane zostały pocztą tradycyjną.
W trakcie procesu konsultacyjnego mieszkańcy zgłosili postulaty, uwagi i wnioski dotyczące zarówno układu komunikacyjnego, otoczenia urbanistycznego projektu, jak i zagospodarowania zieleni.
M.in. pojawiły się głosy za:
koniecznością wprowadzenia bezwzględnego priorytetu dla tramwajów,
zmniejszeniem liczby pasów ruchu dla transportu indywidualnego,
pozostawieniem aktualnej przepustowości ruchu samochodowego,
zmianą przebiegu trasy tramwajowej,
zastąpieniem jej elektryczną komunikacją autobusową, czy “szybkim chodnikiem”,
zmianą zagospodarowania terenu wokół węzła przesiadkowego Garbary,
zmianą rozwiązań infrastrukturalnych dla pieszych i rowerzystów,
ochroną istniejącej zieleni wraz z postulatem nowych nasadzeń.
Jednym z głównych postulatów była rezygnacja z projektowanej drogi serwisowej wzdłuż ul. Szelągowskiej (na odcinku Wilczak-Winogrady) i zachowanie istniejących drzew, co wiąże się z obniżeniem klasy drogi. Wychodząc naprzeciw oczekiwaniom społecznym, Zarząd Transportu Miejskiego wspólnie z Poznańskimi Inwestycjami Miejskim, wystąpił do zarządcy drogi ze stosownym wnioskiem w tej sprawie.
Do ZTM wpłynęły również uwagi i wnioski Stowarzyszenia Rowerowy Poznań, Stowarzyszenia Inwestycje dla Poznania, SIW Poznaniacy oraz spółek Vastint i Trigony. Uwagi przekazali również mieszkańcy ul. Szelągowskiej (50 podpisów) wnioskując m.in. o oddalenie torowiska tramwajowego od zabudowań, likwidację drogi serwisowej wraz z obniżeniem klasy drogi, pozostawienie pasa zieleni oraz wprowadzenie buspasów wraz autobusami elektrycznymi.
Wszystkie otrzymane postulaty, uwagi i wnioski zostaną wnikliwie przeanalizowane na dalszym etapie prac projektowych i w miarę możliwości technicznych, funkcjonalnych oraz formalno-prawnych zostaną uwzględnione.
Trasa od pętli Wilczak do skrzyżowania ulic Garbary, Estkowskiego i Małe Garbary ma być naturalną kontynuacją i drugim etapem trasy tramwajowej na Naramowice, realizowanej obecnie na odcinku od pętli Wilczak do przystanku przy ul. Błażeja. Jej powstanie pozwoli na bezpośredni i szybki dojazd z Naramowic do centrum miasta, co powinno skutkować wzrostem zainteresowania publicznym transportem zbiorowym.

















Dodaj komentarz