W sierpniu rozpocznie się wprowadzanie zmian w organizacji ruchu na rondzie Kaponiera. Dzięki nim usprawniony zostanie ruch pojazdów transportu zbiorowego oraz przejazdy w relacji południe-północ Poznania. Łatwiej będzie można wyjechać z centrum. Docelowo, w następnym roku, rowerzyści zyskają dwukierunkową drogę pomiędzy Jeżycami a Starym Miastem.
Celem zmian jest nie tylko polepszenie warunków jazdy, lecz także komfortu życia mieszkańców Starego Miasta i Jeżyc. Łatwiejszy będzie przejazd na trasie Łazarz – Winogrady, zmniejszy się ryzyko powstania zatorów na ulicach, poprawi się także jakość powietrza w śródmieściu.
Prace przy rondzie Kaponiera wynikają z dynamicznych zmian struktury ruchu w całym mieście. Mają one też ułatwić i poprawić przepustowość dla transportu publicznego, a także dostosować ruch do obecnej sytuacji – zaznacza Krzysztof Olejniczak, dyrektor Zarządu Dróg Miejskich w Poznaniu.
Zmiany związane są m.in. z projektowaną przebudową ul. Św. Marcin, na odcinku od mostu Uniwersyteckiego do al. Niepodległości wraz ze skrzyżowaniem al. Niepodległości i ul. Towarową, oraz wyznaczeniem dwukierunkowej drogi rowerowej w ul. Zwierzynieckiej łączącej Jeżyce z Centrum – na odcinku od ronda Kaponiera do ul. Mickiewicza.
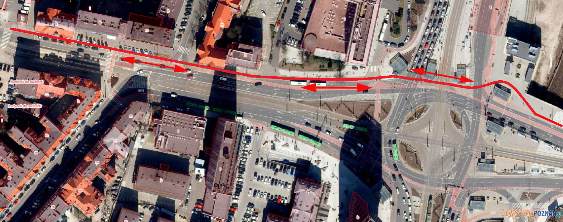
Wprowadzanie zmian podzielono na etapy. W pierwszym, w sierpniu 2019 roku, przesunięty zostanie pas rowerowy znajdujący się na wjeździe na rondo Kaponiera od strony ul. Św. Marcin. Rowerem będzie można przejechać w stronę ul. Zwierzynieckiej po istniejącej drodze rowerowej znajdującej się wzdłuż chodnika, po północnej stronie mostu Uniwersyteckiego. Z kolei wewnętrzny pas jezdni zostanie przeznaczony dla samochodów.
Dojeżdżając samochodem od strony ul. Św. Marcin do Ronda Kaponiera, kierowcy będą mieli do dyspozycji dwa pasy do skrętu w lewo przez rondo, jeden do jazdy na wprost i jeden do skrętu w prawo. Usprawni to ruch wyjeżdżających z centrum, którzy obecnie stoją w zatorze od pl. Mickiewicza i w ten sposób generują zwiększoną emisję spalin.
Przesunięty zostanie pas rowerowy znajdujący się na wjeździe na rondo Kaponiera od strony ul. Św. Marcin. Jednośladem będzie można przejechać na wprost w stronę ul. Zwierzynieckiej po istniejącej drodze rowerowej znajdującej się wzdłuż chodnika, po północnej stronie mostu Uniwersyteckiego. W tym celu trzeba będzie wjechać rowerem do śluzy rowerowej.
Rondo Kaponiera jest jednym z najważniejszych rowerowych skrzyżowań w mieście. To tu krzyżują się główne trasy. Kaponiera dla rowerzystów jest bramą wjazdową do centrum. Od dłuższego czasu zabiegaliśmy o poprawę warunków na rondzie. Te tymczasowe zmiany pogorszą nieco przejazd rowerem przez rondo Kaponiera po jego północnej stronie. Natomiast zmiany docelowe, których wprowadzanie rozpocznie się w 2020 roku, zdecydowanie polepszą infrastrukturę rowerową w tym miejscu – mówi Andrzej Janowski ze Stowarzyszenia Rowerowy Poznań.
Docelowo w tym miejscu powstanie dwukierunkowa droga zamiast obecnego jednokierunkowego pasa rowerowego. Jest to jedno z wyczekiwanych przez rowerzystów rozwiązań, którego projektowanie rozpocznie się w sierpniu tego roku, a budowa w przyszłym. Docelowa trasa w obu kierunkach na tej części ronda pozwoli znacznie wygodniej i szybciej podróżować jednośladami pomiędzy Jeżycami a centrum.
W układzie komunikacyjnym ronda Kaponiera zachowany zostanie pas rowerowy od ul. Zeylanda w kierunku centrum, którego znaczenie w najbliższym czasie wzrośnie w związku z budową drogi rowerowej na ul. Grunwaldzkiej.
W celu sprawniejszego omijania centrum, również w sierpniu, wprowadzona będzie kolejna zmiana na Kaponierze. Ułatwi ona przejazd z południowych do północnych osiedli miasta. poprzez zmianę organizacji ruchu na jezdni ul. F.D. Roosevelta, od strony mostu Dworcowego.
Lewy skrajny pas będzie przeznaczony do skrętu w lewo, dwa kolejne do jazdy na wprost, a prawy dla jadących w stronę ul. Św. Marcin. Ma to na celu ograniczenie wjazdu aut w stronę centrum. Nie będzie wówczas dochodziło do blokowania jednego z pasów ruchu, którym obecnie można jechać w kierunku północnym.
Dzięki temu poprawi się przejazd i więcej kierowców zamiast śródmiejskimi lub jeżyckimi uliczkami, będzie miało możliwość sprawniejszego przejazdu ulicami I ramy komunikacyjnej, w tym ul. Roosevelta. Zmniejszy się liczba samochodów jadących pomiędzy kamienicami, a tym samym ilość spalin wśród zwartej zabudowy.
Kolejne etapy, drugi i trzeci, będą wprowadzane już w przyszłym roku, gdy rozpocznie się przebudowa skrzyżowania ul. Św. Marcin z al. Niepodległości oraz budowa dwukierunkowej drogi rowerowej w ul. Zwierzynieckiej. Ostateczna forma zmiany organizacji ruchu na rondzie Kaponiera uzyskana zostanie po zakończeniu obu inwestycji.
Zmiany dotyczyć będą również komunikacji publicznej. Dla tramwajów jadących od strony ul. Głogowskiej, ul. Grunwaldzkiej i skręcających w prawo w ul. Św. Marcin zamontowany zostanie dodatkowy sygnalizator. Pasażerowie tramwajów linii nr 5 i 13 sprawniej przejadą w kierunku ul. Św. Marcin, bo częściej otrzymają zielone światło.
Aby ograniczyć blokowanie torowiska przez samochody, które nie mogą zjechać z ronda, zamontowane zostaną sygnalizatory kierunkowe. Dla samochodów skręcających w lewo pojawią się one na wlotach na rondo od strony ul. Św. Marcin i z ul. Roosevelta. Pozwoli to na lepszą kontrolę ilości wjeżdżających pojazdów na rondo. Poprawi to bezpieczeństwo ruchu i pozytywnie wpłynie na płynność ruchu. Na zmianie powinni zyskać również pasażerowie autobusów linii nr 163 i 169, którzy szybciej przejadą przez rondo.
W przyszłym roku rozpocznie się przebudowa skrzyżowania ul. Św. Marcin z al. Niepodległości oraz budowa dwukierunkowej drogi rowerowej w ul. Zwierzynieckiej. Docelowy układ zostanie uzyskany po zakończeniu tych inwestycji.
Obecne zmiany będą wprowadzane w sierpniu i zakończą się przed pierwszym września. Prace nie powinny utrudniać ruchu na rondzie.
Wprowadzenie zmian było konsultowane ze Stowarzyszeniem Rowerowy Poznań.

















Dodaj komentarz